Billy The Kid was just a pup when he was mown down by a car. His carers arranged for him to have surgery in the city where Billy was born.
However, with nowhere for Billy to go & something clearly wrong with his leg despite surgery, I offered to help.
Billy was dragging one leg & had something wrong with both front paws, he needed the help of our vets.
Billy made the long journey to the shelter where the manager was waiting for him.
After her initial checks our vet took a look at him & sadly had very bad news for us.
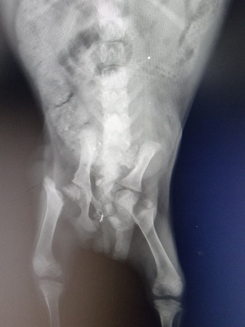
Billy’s original surgery was botched.
He had fragments of bone left in his body & his femur was blocking his bowel. This was an emergency situation as Billy could bot go to the toilet properly. If he had not come under our care he would have died.
I remember feeling very upset over this, not just for Billy, but for all the kind people who had donated to pay for a surgery that had made Billy so very unwell. I was horrified that good, kind people had been duped in to paying for effectively what was animal abuse.
Billy needed two further surgeries to correct the damage that the first surgery had inflicted on Billy.
I remember thinking “if only” but I know that I cannot save every dog in Turkey & worked hard not to put blame on myself. Billy had not been in my care & the vet that botched his surgery was not associated with me or my organisation.
I was here now to help Billy & that is all that mattered.
Billy responded well to his surgeries & like so many stray dogs that have come under our care he seemed to instinctively know that we were trying to help him.
Billy received very passive physio after his surgery & once healed he needed hydro. But, what do you do when there are no hydro facilities within a driveable distance?
You make use of the sea that is right on your doorstep!
Billy was nervous at first but with gentle persuasion he became more & more confident in the water & eventually anticipated the sessions with excitement!
Billy’s road to recovery was a long one. He was not able to stay at the shelter in those early weeks due to the one to one care he needed.
He stayed at the shelter managers home where her family took care of Billy’s needs.
Billy grew in to a very fine young dog. His leg never fully recovered & he still has a slight drag on it. Our consultant vet is reluctant to amputate as it isn’t causing Billy any discomfort & the skin is always in good order.
He sadly has a little carpal hyperextension in both front paws which needs attention but again it doesn’t cause Billy any problems when managed.
Billy eventually moved in to Pink Road, a pretty avenue lined with huts. Most, but not all of the disabled dogs have a hut there. Some of our disabled dogs live in Town Square with the more boisterous, bigger dogs, but it isn’t suited to everyone.
Billy found a friend while he was transitioning from foster to shelter. One eyed Wally, a lovely little disabled dog around the same age as Billy.
The pair are the best of friends & find a great deal of comfort in the friendship they offer each other.
Without our service Billy’s story would have ended all too soon.
It brings us great pleasure to see him with his friends, enjoying his life in safety surrounded by love.







